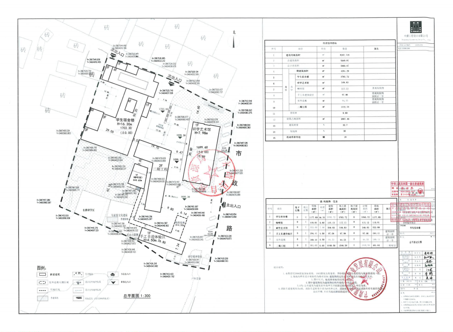
永靖县大学生写生研学基地赋能乡村振兴项目乡村建设规划许可证批后公布

来源:永靖县自然资源局 浏览次数: 发布时间:2025-12-08
字号:
收藏

甘肃聚昌文化产业发展有限公司向我局申请办理永靖县大学生写生研学基地赋能乡村振兴项目乡村建设规划许可证,我局按程序对申报材料进行了审核并做出予以办理的决定,现依据《中华人民共和国行政许可法》《中华人民共和国城乡规划法》《自然资源领域基层政务公开标准指引》等相关法律规定,对许可证证载内容进行公布:

1、申请单位:甘肃聚昌文化产业发展有限公司

2、项目名称:永靖县大学生写生研学基地赋能乡村振兴项目

3、审批事项:乡村建设规划许可

4、证照编号:622923202500010

5、建设位置:位于永靖县三塬镇东风村

6、发证日期:2025年12月8日



永靖县自然资源局

2025年12月8日