永靖县自然资源局关于永靖县大学生写生研学基地赋能乡村振兴项目乡村建设规划许可证批前公示

来源:永靖县自然资源局 浏览次数: 发布时间:2025-07-23
字号:
收藏

甘肃聚昌文化产业发展有限公司向我局申请办理永靖县大学生写生研学基地赋能乡村振兴项目乡村建设规划许可证,为了执行城乡规划公开公示的相关规定,履行规划公众参与的权利和义务,充分征求社会公众的意见和建议,依据《中华人民共和国城乡规划法》《甘肃省城乡规划条例》《甘肃省建设项目规划许可管理办法》,现将该项目情况公示如下:

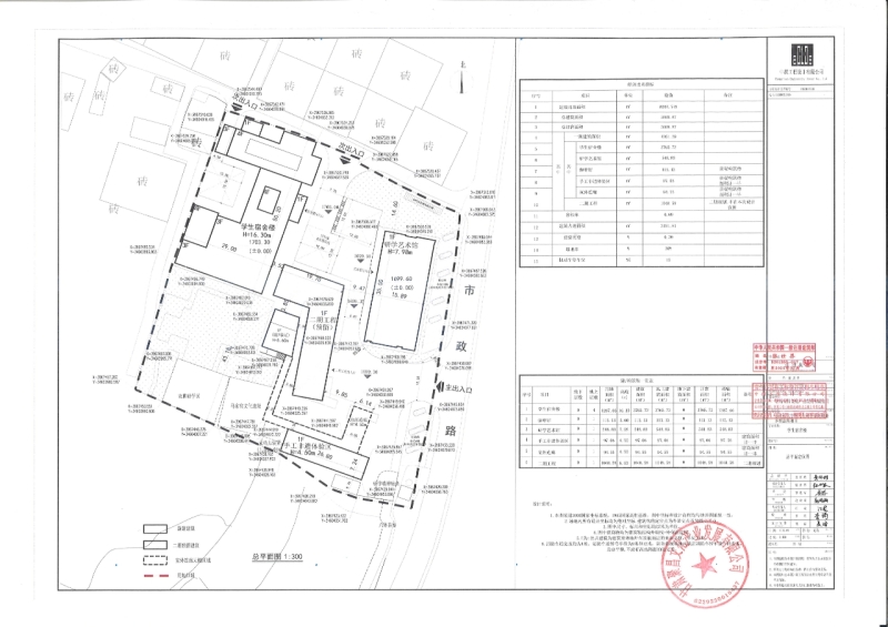
一、项目建设位置

项目建设地点位于永靖县三塬镇东风村。

二、建设内容

本项目总建筑面积5669.87平方米,其中一期建设学生宿舍一栋、研学艺术馆一栋等配套附属设施。二期建设研学精神堡垒、滩涂研学营地等。

三、公示时间:2025年7月23日起(5个工作日)。

四、公示期间,如有意见和建议请以书面形式反馈永靖县自然资源局(单位需盖公章,个人需署真实姓名及联系方式),逾期未提出的,视为同意方案或放弃权利。

联系电话(传真):0930-8832272

联系地址:永靖县刘家峡古城新区山水苑大厦(永靖县自然资源局)




永靖县自然资源局

2025年7月23日